
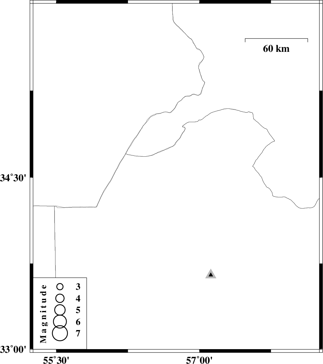
| Prel. Rep. | Date | Time(UTC) | Time(Local) | Lat. | Lon. | Depth | Mag. | Region | Waveform |
| 2023/12/18 | 02:23:38.9 | 05:53:38.9 | 34.496 | 56.757 | 12 | ML:3.1 | Yazd Province, 101 km North-West of Tabas |

| Prel. Rep. | Date | Time(UTC) | Time(Local) | Lat. | Lon. | Depth | Mag. | Region | Waveform |
| 2023/12/18 | 02:23:38.9 | 05:53:38.9 | 34.496 | 56.757 | 12 | ML:3.1 | Yazd Province, 101 km North-West of Tabas |