

Magnitude |
:3.4 |
| Date & Time (UTC) | 2010-11-22 17:16:08.3 |
| Date & Time (Local) | 1389/9/1 20:46:08.3 |
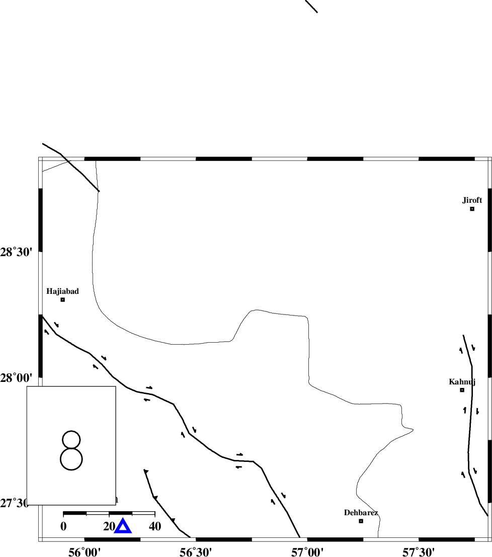
| Location | Lat:28.11 Lon: 56.81 |
| Region | Hormozgan Province, 88 km North-West of Kahnuj |
Nearest Cities |
|
| 27 km South of Sarkhan, Kerman Province | |
| 45 km North West of Faryab, Kerman Province | |
| 50 km West of Hurpasefid, Kerman Province | |
| 56 km North West of Fariab, Hormozgan Province | |
| 57 km South East of Shahmaran, Kerman Province | |
| Depth | 14 km |
| Agency | |
Faults within 150 km: |
|
| MAIN_ZAGROS_R_F (Length: 1106 km) , Distance to epicenter: 9 km | |
| HZF2 (Length: 437 km) , Distance to epicenter: 51 km | |
| ZENDAN_MINAB_F_Z1 (Length: 183 km) , Distance to epicenter: 53 km | |
| Number of Phases | 4 |
| RMS | 0.1 |
| Number of Stations | 4 |
| Error in Latitude | >5.6 km |
| Error in Longitude | 3.4 km |
| Error in Depth | 9.3 km |
Download waveform in seisan format
to download seisan software Click here
to access information about IIEES stations Click here
Amplitude | ||||||||
| UID | Agency | Station | Component | Amplitude | Period | Arrival Time | Proccessing Time | Signal Clip |
| 74270 | IIEES | BNDS | E | 2843.3 | 0.44 | 2010-11-22 17:16:42 | 2010-11-22 05:26:00 | n |
| 74271 | IIEES | BNDS | N | 2984.8 | 0.44 | 2010-11-22 17:16:42 | 2010-11-22 05:26:00 | n |
| 74272 | IIEES | KRBR | N | 294.7 | 0.84 | 2010-11-22 17:17:14 | 2010-11-22 05:26:00 | n |
| 74273 | IIEES | KRBR | E | 380.1 | 0.39 | 2010-11-22 17:17:15 | 2010-11-22 05:26:00 | n |
| 74274 | IIEES | GHIR | E | 36.8 | 0.64 | 2010-11-22 17:18:09 | 2010-11-22 05:26:00 | n |
| 74275 | IIEES | GHIR | N | 38.4 | 0.6 | 2010-11-22 17:18:29 | 2010-11-22 05:26:00 | n |
Phase | ||||||||||||
| Agency | Station | Component | Phase Type | Phase Quality | First Motion | Observed Arrival Time | Time Residual | Loc. Flag | Input Weight | Distance | Azimuth | |
| IIEES | BNDS | Z | Pg | E | 2010-11-22 17:16:25 | 0 | y | 101 | 219 | |||
| IIEES | KRBR | Z | Pn | E | 2010-11-22 17:16:42 | -0.1 | y | 208 | 359 | |||
| IIEES | GHIR | Z | Pn | E | 2010-11-22 17:17:03 | 0.1 | y | 376 | 274 | |||
| IIEES | ZHSF | Z | Pn | E | 2010-11-22 17:17:08 | 0.1 | y | 421 | 66 | |||
