
Magnitude |
:2.5 |
Date & Time (UTC) | 2010-06-15 10:44:56.4 |
Date & Time (Local) | 1389/3/25 15:14:56.4 |
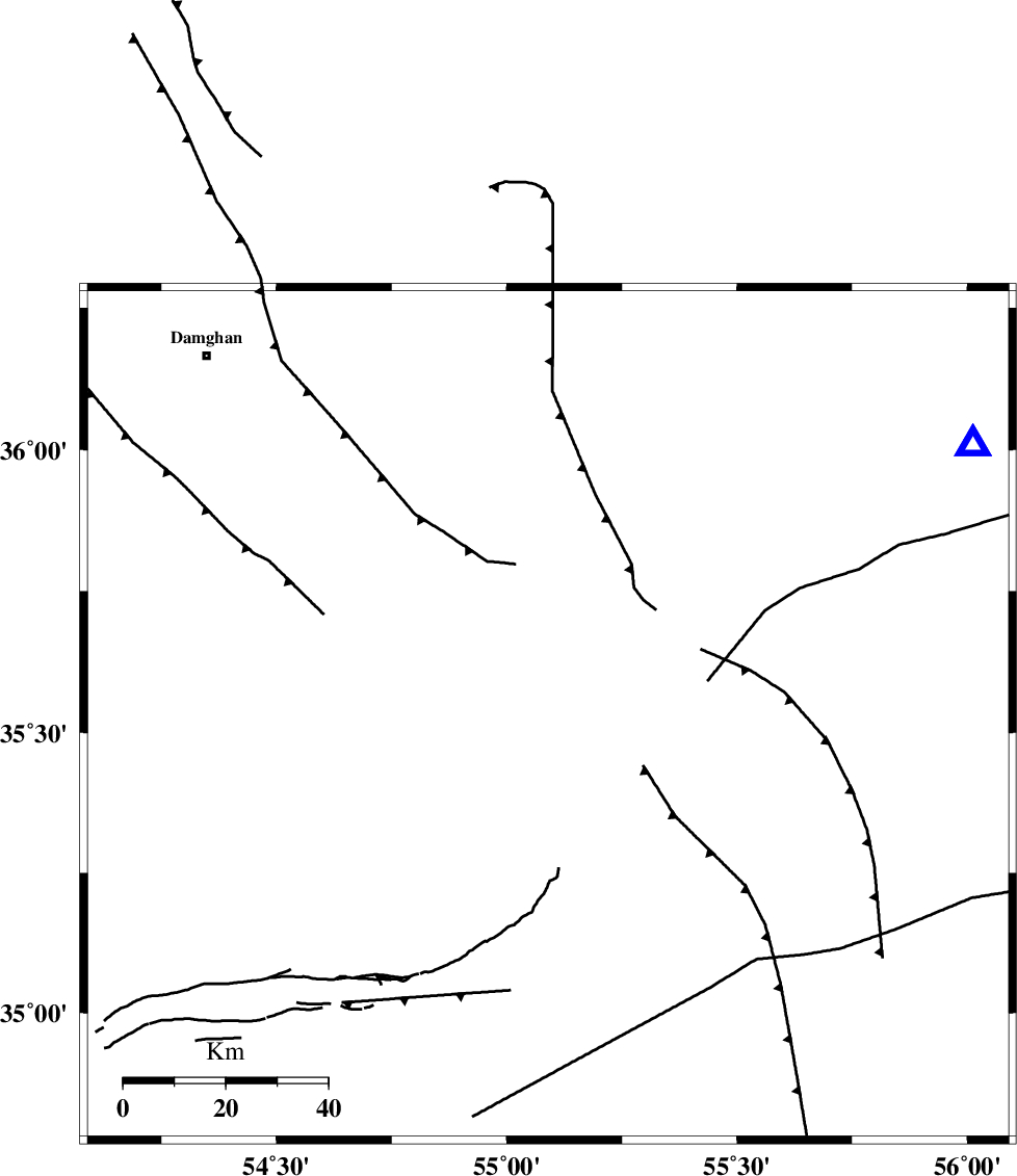
Location | Lat:35.53 Lon: 55.09 |
Region | Semnan Province, 100 km South-East of Shahrud |
Nearest Cities |
|
89 km South West of Biarjomand, Semnan Province | |
90 km South East of Mehmandust, Semnan Province | |
91 km South of Ruyan, Semnan Province | |
97 km South East of Damghan, Semnan Province | |
97 km South West of Khankhodi, Semnan Province | |
Depth | 14 km |
Agency | |
Faults within 150 km: |
|
TORUD_F (Length: 136 km) , Distance to epicenter: 1 km | |
MEYAMEY_F (Length: 141 km) , Distance to epicenter: 68 km | |
DAMGHAN_F (Length: 95 km) , Distance to epicenter: 89 km | |
Number of Phases | 5 |
RMS | 0.2 |
Number of Stations | 4 |
Error in Latitude | >3.3 km |
Error in Longitude | 4.9 km |
Error in Depth | 9.5 km |
Download waveform in seisan format
to download seisan software Click here
to access information about IIEES stations Click here
Amplitude | ||||||||
UID | Agency | Station | Component | Amplitude | Period | Arrival Time | Proccessing Time | Signal Clip |
64620 | IIEES | MRVT | E | 24 | 0.36 | 2010-06-15 10:46:12 | 2010-06-16 09:02:00 | n |
64621 | IIEES | TABS | N | 16.2 | 0.44 | 2010-06-15 10:46:29 | 2010-06-16 09:02:00 | n |
64622 | IIEES | DAMV | N | 24.2 | 0.48 | 2010-06-15 10:46:15 | 2010-06-16 09:02:00 | n |
Phase | ||||||||||||
Agency | Station | Component | Phase Type | Phase Quality | First Motion | Observed Arrival Time | Time Residual | Loc. Flag | Input Weight | Distance | Azimuth | |
IIEES | SHRO | Z | Pg | E | 2010-06-15 10:45:13 | -0.3 | y | 99.4 | 57 | |||
IIEES | MRVT | Z | Pn | E | 2010-06-15 10:45:35 | 0.2 | y | 253 | 20 | |||
IIEES | MRVT | N | Sg | E | 2010-06-15 10:46:07 | 0 | y | 253 | 20 | |||
IIEES | TABS | Z | PN5 | E | 2010-06-15 10:45:38 | 0.1 | y | 280 | 138 | |||
IIEES | DAMV | Z | Pn | E | 2010-06-15 10:45:39 | -0.1 | y | 283 | 273 |