

Magnitude |
:2.7 |
| Date & Time (UTC) | 2008-01-22 18:31:04.9 |
| Date & Time (Local) | 1386/11/2 22:01:04.9 |
| Location | Lat:28.32 Lon: 55.28 |
| Region | 60 km West of Hajiabad, Hormozgan Province |
Nearest Cities |
|
| 8 km North of Doborji, Fars Province | |
| 16 km North of Fadami, Fars Province | |
| 24 km South East of Rostaq, Fars Province | |
| 28 km South of Tal bargah, Fars Province | |
| 53 km North West of Darz, Fars Province | |
| Depth | 14 km |
| Agency | |
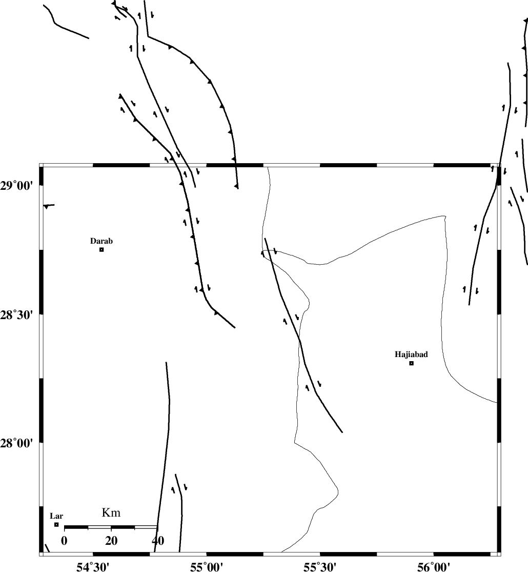
Faults within 150 km: |
|
| HZF2 (Length: 437 km) , Distance to epicenter: 8 km | |
| HZF1 (Length: 102 km) , Distance to epicenter: 19 km | |
| MAIN_ZAGROS_R_F (Length: 1106 km) , Distance to epicenter: 19 km | |
| Number of Phases | 4 |
| RMS | 0.2 |
| Number of Stations | 3 |
| Error in Latitude | >3.5 km |
| Error in Longitude | 3.9 km |
| Error in Depth | 9.5 km |
Download waveform in seisan format
to download seisan software Click here
to access information about IIEES stations Click here
Amplitude | ||||||||
| UID | Agency | Station | Component | Amplitude | Period | Arrival Time | Proccessing Time | Signal Clip |
| 47961 | IIEES | BNDS | N | 118.4 | 0.45 | 2008-01-22 18:31:54 | 2008-12-28 01:25:00 | n |
| 47962 | IIEES | GHIR | N | 60.5 | 0.52 | 2008-01-22 18:32:21 | 2008-12-28 01:25:00 | n |
| 47963 | IIEES | GHIR | E | 59 | 0.48 | 2008-01-22 18:32:22 | 2008-12-28 01:25:00 | n |
| 47964 | IIEES | KRBR | E | 51.2 | 0.48 | 2008-01-22 18:32:20 | 2008-12-28 01:25:00 | n |
| 47965 | IIEES | KRBR | N | 58.6 | 0.61 | 2008-01-22 18:32:22 | 2008-12-28 01:25:00 | n |
Phase | ||||||||||||
| Agency | Station | Component | Phase Type | Phase Quality | First Motion | Observed Arrival Time | Time Residual | Loc. Flag | Input Weight | Distance | Azimuth | |
| IIEES | BNDS | Z | Pg | E | 2008-01-22 18:31:27 | -0.1 | y | 134 | 139 | |||
| IIEES | GHIR | Z | Pg | E | 2008-01-22 18:31:41 | -0.1 | y | 225 | 270 | |||
| IIEES | KRBR | Z | Pn | E | 2008-01-22 18:31:42 | 0.3 | y | 233 | 38 | |||
| IIEES | KRBR | E | Sg | E | 2008-01-22 18:32:11 | -0.2 | y | 233 | 38 | |||
